Descripcion

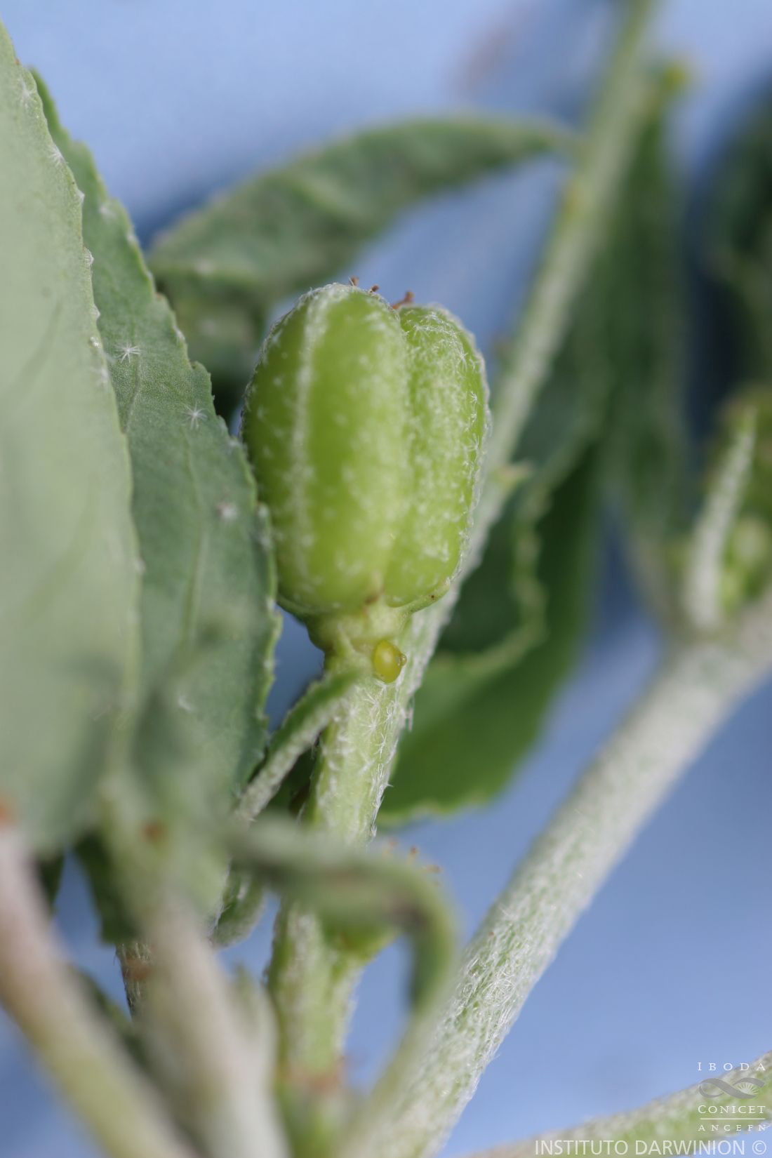
Sufrútices a subarbustos monoicos de 20-60(-110) cm de alto, con ramificación dicotómica o tricotómica, las ramas jóvenes verdes, estriadas, con indumento adpreso de tricomas diminutos rosulados, con látex pardo-rojizo y entrenudos largos entre fascículos de hojas. Hojas alternas, pseudoverticiladas en los ápices floríferos; pecíolos de 0,5-3 cm de largo, con tricomas más o menos densos; estípulas muy pequeñas, con un coléter apical y a menudo con 2-3 coléteres en su base; láminas lanceoladas, ovales, o rómbicas, de (1,5-)2,5-6(-10) × 0,8-3,5(-5) cm, sublustrosas en ambas caras, venación pinnada con 7-15 pares de nervios secundarios, ápice agudo, raro obtuso, base redondeada a obtusa, margen aserrado-glanduloso, casi siempre con un coléter en el ápice de cada diente, con dos glándulas nectaríferas pateliformes y sésiles de 0,6-0,8 mm de diámetro en la base de la cara abaxial, glabra en la cara adaxial, tricomas rosulados ralos en la cara abaxial. Inflorescencias terminales o en las axilas de las ramificaciones, erectas, racemiformes, de 3-10(-15) cm de largo, con 2-10 flores pistiladas basales, solitarias, y numerosas flores estaminadas en el medio y el ápice donde se disponen en címulas de 2-5 flores; brácteas basales pequeñas, con una glándula discoide y sésil en la base (similar a las de la base de la lámina). Flores estaminadas con pedicelo de 1,5-3,5 mm de largo; sépalos 5, ovales, de prefloración quincuncial, glabros, a veces con contados tricomas en la cara interna y con un corto mechón de tricomas sobre el ápice; pétalos 5, elípticos-oblongos, membranosos, hialinos, glabros, sólo barbados sobre el margen en la base; estambres 12-16, filamentos glabros de 1,3-2 mm de largo; receptáculo con pubescencia rala; disco de 5 lóbulos subgibosos, glabros, de ápice mameliforme, rojizos-anaranjados en la antesis. Flores pistiladas con pedicelo corto, de 0,5-1,8 mm de largo; sépalos 5, triangulares, de 1-1,3 × 0,6-1 mm, glabros, cortamente ciliados; pétalos globosos, atrofiados, subsésiles, glandulares; disco de 5 lóbulos gruesos, glabros; ovario de contorno oblongo, de 0,9-1,2 × 0,8-1 mm, sulcado y 3-lobado, con indumento denso de tricomas estrellados, adpresos; estilos 3, 2-fidos, de 2-3 mm de largo, ramas estigmáticas 6, de 2-2,8 mm de largo, blancuzcas, glabras. Fruto cápsulas de contorno oblongo, sulcadas (3-lobadas), de 5-8 × 3-5 mm, con tricomas estrellados blancos adpresos en el medio y el ápice; columela de 4-7 mm de largo, con 3 lóbulos lisos y ascendentes. Semillas subelipsoides o de contorno oblongo, de 4,5-6,5 × 2-2,6 mm, algo comprimidas dorsiventralmente, casi lisas, brillantes, oscuramente rugoso-foveoladas, grisáceas a parduzcas, a veces algo maculadas, con carúncula subapical prolongada a ambos lados y sobre el dorso en un pequeño lóbulo, de 1,5-2 mm de ancho.

Distribucion y Habitat

Bolivia, Paraguay, sur de Brasil, Uruguay y el norte y centro de la Argentina, desde los 50-2500 m s.m. Se trata de una maleza, a veces muy invasora, frecuente en rastrojos y terrenos modificados. Se ha naturalizado en varias partes del Viejo Mundo, tales como la India, Taiwán, Malasia, Sudáfrica y la isla Mauricio.

Ejemplares de referencia

Colector N° Colect. Especie Departamento Provincia Imagen
  • Ahumada, L. Z.
  • 5929 -
  • Ahumada, O.
  • 280 San Martín Corrientes
  • Ahumada, O.
  • 379 Empedrado Corrientes
  • Ahumada, O.
  • 444 Berón de Astrada Corrientes
  • Ahumada, O.
  • 826 Itatí Corrientes
  • Ahumada, O.
  • 866 Itatí Corrientes
  • Ahumada, O.
  • 1552 Capital Corrientes
  • Ahumada, O.
  • 1765 San Miguel Corrientes
  • Ahumada, O.
  • 7336 General José de San Martín Salta
  • Ahumada, O.
  • 9096 Santa Bárbara Jujuy
  • Aliscioni, S. S.
  • 581 Laishí Formosa
  • Anderson, D. L.
  • 3600 Juan Martín de Pueyrredón San Luis
  • Anzótegui, M. L.
  • 157 Capital Corrientes
  • Arbo, M. M.
  • 166 Capital Corrientes
  • Arbo, M. M.
  • 550 Capital Corrientes
  • Arbo, M. M.
  • 6501 Ituzaingó Corrientes
  • Arenas, P.
  • 1349 Alto Paraguay
  • Arenas, P.
  • 2363 Matacos Formosa
  • Arenas, P.
  • 3447 Patiño Formosa
  • Arenas, P.
  • 3834 Mcal. José Félix Estigarribia Boquerón
  • Ariza Espinar, L.
  • 823 Cruz del Eje Córdoba
  • Ariza Espinar, L.
  • 938 San Fernando Chaco
  • Ariza Espinar, L.
  • 1080 Capital Corrientes
  • Ariza Espinar, L.
  • 1755 Valle Fértil San Juan
  • Ariza Espinar, L.
  • 2085 Capital Corrientes
  • Balbo, J.
  • 42 Berón de Astrada Corrientes
  • Baldo, J.
  • 42 Berón de Astrada Corrientes
  • Barboza, G. E.
  • 351 Goya Corrientes
  • Belgrano, M. J.
  • 283 Bella Vista Corrientes
  • Belgrano, M. J.
  • 290 San Cosme Corrientes
  • Benítez, B.
  • 178 San Cosme Corrientes
  • Bertoni, -
  • 854 Misiones
  • Biurrun, F.
  • 556 Chamical La Rioja
  • Biurrun, F.
  • 1297 General Ángel V. Peñaloza La Rioja
  • Biurrun, F.
  • 2196 Chamical La Rioja
  • Biurrun, F.
  • 2343 Chamical La Rioja
  • Biurrun, F.
  • 2598 Chamical La Rioja
  • Biurrun, F.
  • 2622 General Ángel V. Peñaloza La Rioja
  • Biurrun, F.
  • 3250 General Belgrano La Rioja
  • Biurrun, F.
  • 4226 bis Valle Fértil San Juan
  • Blanchoud, -
  • 2144 General Obligado Santa Fe
  • Bordón, A. O.
  • -1 408713 ctes Patiño Formosa
  • Bordón, A. O.
  • -1 Ctes 407803 Maipú Chaco
  • Bordón, A. O.
  • -1 Ctes 408713 Patiño Formosa
  • Bordón, A. O.
  • -1 Ctes 415894 Pirané Formosa
  • Bordón, A. O.
  • 25 Pirané Formosa
  • Bordón, A. O.
  • 79 Matacos Formosa
  • Bordón, A. O.
  • 673 Almirante Brown Chaco
  • Brizuela, J.
  • 232 La Paz Catamarca
  • Brizuela, J.
  • 742 La Paz Catamarca
  • Burkart, A.
  • 6886 Capital Corrientes
  • Burkart, A.
  • 12435 Chilecito La Rioja
  • Burkart, A.
  • 12438 Famatina La Rioja
  • Burkart, A.
  • 12444 La Rioja
  • Burkart, A.
  • 30931 Concepción Corrientes
  • Cabrera, A. L.
  • 28220 Saladas Corrientes
  • Cabrera, A. L.
  • 28457 Apóstoles Misiones
  • Cabrera, A. L.
  • 28985 Ituzaingó Corrientes
  • Cabrera, A. L.
  • 31880 Ojo de Agua Santiago del Estero
  • Cabrera, A. L.
  • 33604 Cordillera Santa Cruz
  • Cabrera, A. L.
  • 34405 General José de San Martín Salta
  • Cabrera, A. L.
  • 34417 General José de San Martín Salta
  • Cabrera, M. M.
  • 37 Formosa Formosa
  • Cantero, J. J.
  • 6432 Córdoba
  • Cantino, P. D.
  • 624 Andalgalá Catamarca
  • Caplán, H.
  • 49 Capital Corrientes
  • Carbone, L. M.
  • 1581 Pocho Córdoba
  • Carnevale, -
  • 48 9 de Julio Santa Fe
  • Carnevali, R.
  • 212 Capital Corrientes
  • Carnevali, R.
  • 2828 San Cosme Corrientes
  • Carnevali, R.
  • 3672 Santa Fe
  • Carnevali, R.
  • 4603 San Martín Corrientes
  • Carnevali, R.
  • 4627 Santo Tomé Corrientes
  • Chalukian, S.
  • 1910 Anta Salta
  • Charpin, A.
  • 20097 Capital Corrientes
  • Chiarini, F.
  • 43 Capital Córdoba
  • Correa, M. N.
  • 7650 Matacos Formosa
  • Cowan, C. P.
  • 4136 San Cosme Corrientes
  • Crespo, N. E.
  • 128 Capital Santiago del Estero
  • Cristóbal, C. L.
  • 1495 San Roque Corrientes
  • Cuadrado, G. A.
  • 18 Capital Corrientes
  • De Egea Elsam, J.
  • 545 Presidente Hayes
  • Deginani, N. B.
  • 1892 General Obligado Santa Fe
  • Deginani, N. B.
  • 1925 San Fernando Chaco
  • Deginani, N. B.
  • 1981 Patiño Formosa
  • Deginani, N. B.
  • 2131 Junín San Luis
  • Denham, S. S.
  • 112 San Roque Corrientes
  • Denham, S. S.
  • 249 Itatí Corrientes
  • Digiacomo, A.
  • 156 Laishí Formosa
  • Echegaray, S.
  • -1 CORD 114368 Santiago del Estero
  • Fernández, A.
  • 226 Capital Corrientes
  • Ferrucci, M. S.
  • 1761 Gran Chaco Tarija
  • Flamini, M.
  • 217 Matacos Formosa
  • Fortunato, R. H.
  • 4410 Patiño Formosa
  • Fortunato, R. H.
  • 5893 Valle Fértil San Juan
  • Fortunato, R. H.
  • 6505 General Güemes Chaco
  • Fortunato, R. H.
  • 6533 General Güemes Chaco
  • Franceschi, E. A.
  • 369 General Obligado Santa Fe
  • Gattuso, S.
  • 254 Mayor Luis J. Fontana Chaco
  • Gautier, E. D.
  • 7479 Catamarca
  • Gautier, E. D.
  • 7481 Catamarca
  • Gauto, S. Y.
  • 77 San Cosme Corrientes
  • Guaglianone, E. R.
  • 1216 General Alvear Corrientes
  • Guaglianone, E. R.
  • 2195 Pilcomayo Formosa
  • Hassler, E.
  • 1004 Presidente Hayes
  • Herbst, R.
  • 1218 Lavalle Corrientes
  • Herter, W. G. F.
  • 1161 Artigas
  • Hieronymus, G. H. E. W.
  • 666 Cruz del Eje Córdoba
  • Hunziker, A. T.
  • 8351 Pocho Córdoba
  • Hunziker, A. T.
  • 9105 Cruz del Eje Córdoba
  • Hunziker, A. T.
  • 11522 Pocho Córdoba
  • Hunziker, A. T.
  • 11921 Río Primero Córdoba
  • Hunziker, A. T.
  • 12107 Sobremonte Córdoba
  • Hunziker, A. T.
  • 12336 Cruz del Eje Córdoba
  • Hunziker, A. T.
  • 13484 Pocho Córdoba
  • Hunziker, A. T.
  • 13854 General Ángel V. Peñaloza La Rioja
  • Hunziker, A. T.
  • 13971 General Belgrano La Rioja
  • Hunziker, A. T.
  • 14141 General Ángel V. Peñaloza La Rioja
  • Hunziker, A. T.
  • 14278 CORD 49211 Independencia La Rioja
  • Hunziker, A. T.
  • 14737 Ischilín Córdoba
  • Hunziker, A. T.
  • 14832 Ischilín Córdoba
  • Hunziker, A. T.
  • 14948 Ayacucho San Luis
  • Hunziker, A. T.
  • 15222 Tinogasta Catamarca
  • Hunziker, A. T.
  • 15587 Berón de Astrada Corrientes
  • Hunziker, A. T.
  • 16704 Valle Fértil San Juan
  • Hunziker, A. T.
  • 17862 Robles Santiago del Estero
  • Hunziker, A. T.
  • 19893 Capayán Catamarca
  • Hunziker, A. T.
  • 20235 Laishí Formosa
  • Hunziker, A. T.
  • 24254 Capital Santiago del Estero
  • Hunziker, A. T.
  • 25223 Capayán Catamarca
  • Hunziker, A. T.
  • 252223 Capayán Catamarca
  • Hunziker, J. H.
  • 732 Monte Caseros Corrientes
  • Hunziker, J. H.
  • 736 Paso de los Libres Corrientes
  • Hunziker, J. H.
  • 738 CORD 101516 Paso de los Libres Corrientes
  • Hunziker, J. H.
  • 9577 Poman Catamarca
  • Hunziker, J. H.
  • 9600 Capital Catamarca
  • Hunziker, J. H.
  • 11685 Punilla Córdoba
  • Hunziker, J. H.
  • 11999 Tinogasta Catamarca
  • Hunziker, J. H.
  • 12182 General José de San Martín Salta
  • Hunziker, J. H.
  • 12422 Andalgalá Catamarca
  • Hunziker, J. H.
  • 12527 Cafayate Salta
  • Irigoyen, J.
  • 35 San Roque Corrientes
  • Irigoyen, J.
  • 41 San Cosme Corrientes
  • Jörgensen, P.
  • 988 Andalgalá Catamarca
  • Jörgensen, P.
  • 2253 Bermejo Chaco
  • Jörgensen, P.
  • 2859 Formosa Formosa
  • Juárez, F.
  • 1765 Orán Salta
  • Keller, H. A.
  • 10129 9 de Julio Santa Fe
  • Kiesling, R.
  • 9528 Concepción
  • Kiesling, R.
  • 9680 Alto Paraguay
  • Killeen, T. J.
  • 4272 Cordillera Santa Cruz
  • Kirchmair, M. C.
  • 20 San Fernando Chaco
  • Krapovickas, A.
  • 5987 Chamical La Rioja
  • Krapovickas, A.
  • 19563 Pirané Formosa
  • Krapovickas, A.
  • 20673 San Carlos Salta
  • Krapovickas, A.
  • 26707 Anta Salta
  • Krapovickas, A.
  • 26838 Esquina Corrientes
  • Krapovickas, A.
  • 27883 Trancas Tucumán
  • Krapovickas, A.
  • 29227 San Martín Corrientes
  • Krapovickas, A.
  • 29432 San Martín Corrientes
  • Krapovickas, A.
  • 29462 San Martín Corrientes
  • Krapovickas, A.
  • 30458 Rosario de la Frontera Salta
  • Krapovickas, A.
  • 30839 General José de San Martín Salta
  • Kurtz, F.
  • 5 CORD 61525 Córdoba
  • Kurtz, F.
  • 171 Córdoba
  • Kurtz, F.
  • 248 -
  • Kurtz, F.
  • 265 Córdoba
  • Kurtz, F.
  • 1461 CORD 114267 Formosa Formosa
  • Kurtz, F.
  • 4505 Río Primero Córdoba
  • Kurtz, F.
  • 4601 Córdoba
  • Kurtz, F.
  • 5065 Capital Tucumán
  • Kurtz, F.
  • 6516 Cruz del Eje Córdoba
  • López, María G.
  • 85 Formosa Formosa
  • Lorentz, P. G.
  • -1 CORD 114366 Santiago del Estero
  • Lorentz, P. G.
  • 376 CORD 101501 Salta
  • Marino, G.
  • 955 Pilcomayo Formosa
  • Marino, G.
  • 2350 Vera Santa Fe
  • Martín, S. G.
  • 222 San Martín Corrientes
  • Martínez Crovetto, R.
  • 4456 Corrientes
  • Martínez Crovetto, R.
  • 5512 General Paz Corrientes
  • Martínez Crovetto, R.
  • 11056 Capital Corrientes
  • Martínez, A. J.
  • -1 (BAA 9515) 1° de Mayo Chaco
  • Martínez, A. J.
  • -1 (BAA 9547) 1° de Mayo Chaco
  • Martínez, G. J.
  • 240 General Güemes Chaco
  • Martínez, G. J.
  • 345 General Güemes Chaco
  • Martínez, G. J.
  • 465 General Güemes Chaco
  • Maturo, H.
  • 251 Formosa
  • Medán, D.
  • 16806 BAA Itatí Corrientes
  • Medina, R.
  • 40 Capital Corrientes
  • Mereles, F.
  • 1989 Presidente Hayes
  • Mereles, F.
  • 5215 Presidente Hayes
  • Morrone, O.
  • 2989 Santa Bárbara Jujuy
  • Morrone, O.
  • 3024 Santa Bárbara Jujuy
  • Morrone, O.
  • 4562 Orán Salta
  • Morrone, O.
  • 5352 Esquina Corrientes
  • Múlgura, M. E.
  • 3741 Paraguarí
  • Muñoz, J. D.
  • 816 Paraná Entre Ríos
  • Nicora, E. G.
  • 5863 Monte Caseros Corrientes
  • Nicora, E. G.
  • 9765 Presidente Hayes
  • Novara, L. J.
  • 3228 General José de San Martín Salta
  • Novara, L. J.
  • 3920 Anta Salta
  • Novara, L. J.
  • 5672 Anta Salta
  • Novara, L. J.
  • 8957 Orán Salta
  • Novara, L. J.
  • 9581 Guachipas Salta
  • Novara, L. J.
  • 10112 General Güemes Salta
  • Novara, L. J.
  • 10940 General José de San Martín Salta
  • Novara, L. J.
  • 10950 La Caldera Salta
  • Palacios, R. A.
  • 686 Pilcomayo Formosa
  • Paula-Souza, J.
  • 7811 La Viña Salta
  • Paula-Souza, J.
  • 7987 Metán Salta
  • Paula-Souza, J.
  • 8051 Copo Santiago del Estero
  • Paula-Souza, J.
  • 8097 Capital Corrientes
  • Pedersen, T. M.
  • 12394 Empedrado Corrientes
  • Peña-Chocarro, M. C.
  • 1900 Formosa
  • Pensiero, J. F.
  • 2572 General Obligado Santa Fe
  • Pensiero, J. F.
  • 2695 Vera Santa Fe
  • Pensiero, J. F.
  • 2934 9 de Julio Santa Fe
  • Pensiero, J. F.
  • 3129 General Obligado Santa Fe
  • Pensiero, J. F.
  • 4419 Luis Calvo Chuquisaca
  • Pensiero, J. F.
  • 7383 Caucete San Juan
  • Pensiero, J. F.
  • 7436 Independencia La Rioja
  • Pérez, B.
  • 65 Capital Corrientes
  • Pérez, B.
  • 521 Comandante Fernández Chaco
  • Pérez, L.
  • 305 Presidente Hayes
  • Pire, -
  • 1910 General Obligado Santa Fe
  • Pire, S. M.
  • 64 San Luis del Palmar Corrientes
  • Pire, S. M.
  • 120 San Fernando Chaco
  • Pozner, R.
  • 355 General Taboada Santiago del Estero
  • Prado, -
  • 14 Santa Fe
  • Prado, -
  • 18 Vera Santa Fe
  • Prado, -
  • 744 General Obligado Santa Fe
  • Prado, D. E.
  • 76 9 de Julio Santa Fe
  • Prado, D. E.
  • 373 General Obligado Santa Fe
  • Pueyo, H.
  • 57 Capital Corrientes
  • Quarín, C. L.
  • 32 General Obligado Santa Fe
  • Quarín, C. L.
  • 353 San Luis del Palmar Corrientes
  • Quarín, C. L.
  • 371 San Luis del Palmar Corrientes
  • Quarín, C. L.
  • 528 San Luis del Palmar Corrientes
  • Quarín, C. L.
  • 1803 Ituzaingó Corrientes
  • Quarín, C. L.
  • 2298 Empedrado Corrientes
  • Ragonese, -
  • 8486 Formosa
  • Renolfi, R.
  • 485 Ojo de Agua Santiago del Estero
  • Renvoize, S. A.
  • 3536 General José de San Martín Salta
  • Riedel, J.
  • 216 General Belgrano La Rioja
  • Rodrigo Trigo, A. P.
  • 798 Mercedes Corrientes
  • Romanczuk, M. C.
  • 369 Ituzaingó Corrientes
  • Romanczuk, M. C.
  • 805 General Paz Corrientes
  • Rosa, E. B.
  • 59 General Pedernera San Luis
  • Salgado, C. R.
  • 270 Chaco
  • Salgado, C. R.
  • 290 Libertador General San Martín Chaco
  • Salgado, C. R.
  • 342 San Fernando Chaco
  • Saravia Toledo, C.
  • 757 Anta Salta
  • Saravia Toledo, C.
  • 1178 Anta Salta
  • Saravia Toledo, C.
  • 1491 Anta Salta
  • Saravia Toledo, C.
  • 13054 Ambato Catamarca
  • Scarpa, G. F.
  • 443 Rivadavia Salta
  • Scarpa, G. F.
  • 557 Rivadavia Salta
  • Scarpa, G. F.
  • 577 Rivadavia Salta
  • Schickendantz, F.
  • 108 CORD 114272 Andalgalá Catamarca
  • Schickendantz, F.
  • 182 CORD 114365 Catamarca
  • Schickendantz, F.
  • 233 CORD 114367 Catamarca
  • Schinini, A.
  • 3973 bis Central
  • Schinini, A.
  • 4471 Itatí Corrientes
  • Schinini, A.
  • 4626 Capital Corrientes
  • Schinini, A.
  • 7539 Paso de los Libres Corrientes
  • Schinini, A.
  • 17043 San Martín Corrientes
  • Schinini, A.
  • 18062 -
  • Schinini, A.
  • 22664 General Donovan Chaco
  • Schinini, A.
  • 26828 San Cosme Corrientes
  • Schinini, A.
  • 30372 Pilagás Formosa
  • Schinini, A.
  • 35304 Matacos Formosa
  • Schulz, A. G.
  • 1504 San Lorenzo Chaco
  • Schulz, A. G.
  • 1505 1° de Mayo Chaco
  • Schulz, A. G.
  • 1505 a 1° de Mayo Chaco
  • Schulz, A. G.
  • 2371 Capital Corrientes
  • Schulz, A. G.
  • 8179 Mayor Luis J. Fontana Chaco
  • Schulz, A. G.
  • 9206 1° de Mayo Chaco
  • Schulz, A. G.
  • 9294 1° de Mayo Chaco
  • Schulz, A. G.
  • 9434 San Fernando Chaco
  • Schulz, A. G.
  • 15595 Bermejo Chaco
  • Schulz, A. G.
  • 15672 Chaco
  • Schulz, A. G.
  • 16833 San Roque Corrientes
  • Schulz, A. G.
  • 17431 General Güemes Chaco
  • Schulz, A. G.
  • 18134 General Güemes Chaco
  • Schulz, A. G.
  • 18306 Formosa
  • Schulz, A. G.
  • 19064 a Almirante Brown Chaco
  • Schulz, A. G.
  • 19066 1° de Mayo Chaco
  • Schwarz, G. J.
  • 9210 Saladas Corrientes
  • Schwarz, G. J.
  • 9342 Bella Vista Corrientes
  • Seijo, J. G.
  • 3380 Gran Chaco Tarija
  • Slanis, A. C.
  • 96 04-2008 Santa Bárbara Jujuy
  • Solís Neffa, V. G.
  • 644 General José de San Martín Salta
  • Solís Neffa, V. G.
  • 1068 Chiquitos Santa Cruz
  • Solís Neffa, V. G.
  • 1940 Chuquisaca
  • Sosa, G. M.
  • 2806 Almirante Brown Chaco
  • Sosa, G. M.
  • 2905 General Güemes Chaco
  • Stofella, -
  • 154 General Obligado Santa Fe
  • Stuckert, T. J. V.
  • 2465 Capital Córdoba
  • Stuckert, T. J. V.
  • 6401 Río Primero Córdoba
  • Stuckert, T. J. V.
  • 6565 Cruz del Eje Córdoba
  • Stuckert, T. J. V.
  • 6859 Capital Córdoba
  • Stuckert, T. J. V.
  • 6972 CORD 101510 Burruyacú Tucumán
  • Stuckert, T. J. V.
  • 8224 CORD 51143 Cruz del Eje Córdoba
  • Stuckert, T. J. V.
  • 8993 Burruyacú Tucumán
  • Stuckert, T. J. V.
  • 9218 Capital Córdoba
  • Stuckert, T. J. V.
  • 9310 Burruyacú Tucumán
  • Stuckert, T. J. V.
  • 10325 San Alberto Córdoba
  • Stuckert, T. J. V.
  • 13946 Burruyacú Tucumán
  • Stuckert, T. J. V.
  • 14557 Bella Vista Corrientes
  • Stuckert, T. J. V.
  • 16972 Burruyacú Tucumán
  • Stuckert, T. J. V.
  • 17235 Cruz del Eje Córdoba
  • Stuckert, T. J. V.
  • 21285 Burruyacú Tucumán
  • Subils, R.
  • 21 Choya Santiago del Estero
  • Subils, R.
  • 39 El Alto Catamarca
  • Subils, R.
  • 54 Valle Viejo Catamarca
  • Subils, R.
  • 3671 Ancasti Catamarca
  • Subils, R.
  • 4702 Tulumba Córdoba
  • Subils, R.
  • 4708 Tulumba Córdoba
  • Taylor, C. M.
  • 11421 Ledesma Jujuy
  • Toledo, J. M.
  • 34 Capital Corrientes
  • Torres, I.
  • 35 Matacos Formosa
  • Tressens, S. G.
  • 38 Capital Corrientes
  • Tressens, S. G.
  • 94 San Cosme Corrientes
  • Tressens, S. G.
  • 3740 San Martín Corrientes
  • Troncoso, N. S.
  • 1762 La Paz Catamarca
  • Ulibarri, E. A.
  • 222 Ambato Catamarca
  • Ulibarri, E. A.
  • 1356 Ojo de Agua Santiago del Estero
  • Ulibarri, E. A.
  • 1568 Capital Santiago del Estero
  • Ulibarri, E. A.
  • 1608 Capital Santiago del Estero
  • Vanni, R. O.
  • 1835 Boquerón
  • Vanni, R. O.
  • 2436 Boquerón
  • Varela, F.
  • 1309 Guachipas Salta
  • Vergara, -
  • 15 Pilagás Formosa
  • Villamil, C. B.
  • 3050 Río Hondo Santiago del Estero
  • Xifreda, C. C.
  • 557 Santo Tomé Corrientes
  • Zuloaga, F. O.
  • 1322 Tarija
  • Zuloaga, F. O.
  • 2858 Ledesma Jujuy
  • Zuloaga, F. O.
  • 8418 Avellaneda Santiago del Estero
  • Zuloaga, F. O.
  • 8438 Tafí Tucumán
  • Zuloaga, F. O.
  • 8438 Tafí Tucumán
  • Zuloaga, F. O.
  • 8438 Tafí Tucumán
  • Zuloaga, F. O.
  • 8438 Tafí Tucumán
  • Zuloaga, F. O.
  • 8580 Ledesma Jujuy
  • Zuloaga, F. O.
  • 8580 Ledesma Jujuy
  • Zuloaga, F. O.
  • 8580 Ledesma Jujuy
  • Zuloaga, F. O.
  • 12933 Cafayate Salta
  • Zuloaga, F. O.
  • 12933 Cafayate Salta
  • Zuloaga, F. O.
  • 12933 Cafayate Salta

    Nombre Vulgar y Usos

    Tipo y Observaciones

    Material Tipo: Argentina. Corrientes. Sin localidad consignada, 1833, A. J. A. Bonpland s.n. (lectotipo, P 00623061!, designado por P. E. Berry et al., PhytoKeys 90: 24. 2017; isolectotipo, P 00623060!).
    Observaciones: Nombres vernáculos. “Nogal del zorro”, “piñoncillo”, “piñoncito”. Observaciones. Se trata posiblemente de la especie de Croton más ampliamente distribuida en el país, debido a su ruderalidad y afinidad por terrenos modificados. Croton bonplandianus pertenece a Croton secc. Adenophylli subsecc. Pungentes Croizat (Van Ee & Berry, 2021; Sodré, 2022).

    Detalle fruto